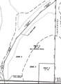
Description
Tracts 2 & 3 are being offered together for a total of 31+/- acres. Approximately 24.5 of the 31+/- acres are tillable and currently being used for row crop production. These tracts lay exceptionally well with 0-2% slopes and class 2 loam soils. The soils on these tracts have an impressive NCCPI rating of 84.6 which exceeds the county average significantly. At 80% tillable, these tracts provide an appealing ROI aspect. Tract 3 does have an old farmhouse that needs some TLC and a barn that is in good condition and ready to be utilized. Tract 3 does have water and electricity available per PWSD #3 and United Electric. Reconnection fees will apply, please verify. This public offering consists of tracts 2 & 3 per the survey provided and aerial supplement documents. Tracts have been surveyed off larger parcels. Kindly be aware that additional tracts are available, and these options are being offered in various combinations.
-
0BEDS
-
31.2ACRES
-
0BATHS
-
01/2 BATHS
Description
Tracts 2 & 3 are being offered together for a total of 31+/- acres. Approximately 24.5 of the 31+/- acres are tillable and currently being used for row crop production. These tracts lay exceptionally well with 0-2% slopes and class 2 loam soils. The soils on these tracts have an impressive NCCPI rating of 84.6 which exceeds the county average significantly. At 80% tillable, these tracts provide an appealing ROI aspect. Tract 3 does have an old farmhouse that needs some TLC and a barn that is in good condition and ready to be utilized. Tract 3 does have water and electricity available per PWSD #3 and United Electric. Reconnection fees will apply, please verify. This public offering consists of tracts 2 & 3 per the survey provided and aerial supplement documents. Tracts have been surveyed off larger parcels. Kindly be aware that additional tracts are available, and these options are being offered in various combinations.
Heartland MLS Terms of Use
The information displayed on this page is confidential, proprietary, and copyrighted information of Heartland Multiple Listing Service, Inc. ("Heartland MLS"). Copyright 2025, Heartland Multiple Listing Service, Inc. Heartland MLS and Compass Realty Group do not make any warranty or representation concerning the timeliness or accuracy of the information displayed herein. In consideration for the receipt of the information on this page, the recipient agrees to use the information solely for the private non-commercial purpose of identifying a property in which the recipient has a good faith interest in acquiring. The data relating to real estate displayed on this website comes in part from the Heartland Multiple Listing Service database compilation. Data last updated: 2025-11-10T13:45:29.843.
Based on information submitted to the MLS GRID as of 2025-11-10T13:45:29.843 All data is obtained from various sources and may not have been verified by broker or MLS GRID. Supplied Open House Information is subject to change without notice. All information should be independently reviewed and verified for accuracy. Properties may or may not be listed by the office/agent presenting the information.
