Description
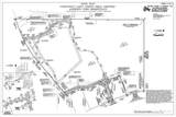
1.288 acre lot for sale, located adjacent to the new Cosentino's Price Chopper site. Zoned C-3. Ingress-egress easement filed across west side of lot, see final plat. Ideal location for an approx. 7,000 SF retail, office or medical office building. Approx. 150' frontage on Beck. Legal address 3802 Beck Rd.
-
0BEDS
-
1.29ACRES
-
0BATHS
-
01/2 BATHS
School Information
Description
1.288 acre lot for sale, located adjacent to the new Cosentino's Price Chopper site. Zoned C-3. Ingress-egress easement filed across west side of lot, see final plat. Ideal location for an approx. 7,000 SF retail, office or medical office building. Approx. 150' frontage on Beck. Legal address 3802 Beck Rd.
Heartland MLS Terms of Use
The information displayed on this page is confidential, proprietary, and copyrighted information of Heartland Multiple Listing Service, Inc. ("Heartland MLS"). Copyright 2025, Heartland Multiple Listing Service, Inc. Heartland MLS and Compass Realty Group do not make any warranty or representation concerning the timeliness or accuracy of the information displayed herein. In consideration for the receipt of the information on this page, the recipient agrees to use the information solely for the private non-commercial purpose of identifying a property in which the recipient has a good faith interest in acquiring. The data relating to real estate displayed on this website comes in part from the Heartland Multiple Listing Service database compilation. Data last updated: 2025-11-16T23:45:12.083.
Based on information submitted to the MLS GRID as of 2025-11-16T23:45:12.083 All data is obtained from various sources and may not have been verified by broker or MLS GRID. Supplied Open House Information is subject to change without notice. All information should be independently reviewed and verified for accuracy. Properties may or may not be listed by the office/agent presenting the information.
